Search for trees on Bomengids (this European treeguide)

Het esdoorn-geslacht (acer)

Het bepalen welk soort esdoorn je nu precies voor je hebt.

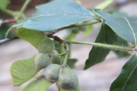
Zoals bij de meeste boom families is er verschil tussen de soorten die je in de natuur aantreft en soorten die je in wijken en tuinen ziet aangeplant. Maar alle esdoorns herken je aan de typische vruchten: de neusjes met twee vleugeltjes die in trossen of trosjes in de zomer de bomen sieren. Esdoorns hebben vaak een hoog suikergehalte in het spa en daarom ook vaak veel luizen in het voorjaar en dus ook lieveheersbeestjes en andere predatoren op luizen.

In het wild zei je voornamelijk drie soorten: Gewones esdoorn, http://www.bomengids.nl/2015/soorten/Noorse_esdoorn__Acer_platanoides__Norway_maple__Spitz-Ahorn__Erable_plane.html en Veldesdoorn of Spaanse Aak. OP deze URL en dit image van Noorse esdoorn kun je zien dat deze drie soorten inheems in Europa zijn en in Nederland, hoewel ze soms wat aan de range grens zitten.

De Gewones esdoorn zie je het meest, aan de rand van het bos of een weiland. Grote bladeren met 3-5 lobben, eerst een gladde stam, later vallen er vierkante stukjes bast af (bij flink grote bomen met stam meer dan 3 bovenbenen dik). De Noorse esdoorn vind je in het bos en niet vooral aan de rand. Ook de veldesdoorn is een boom die meestal in de rand van het bos staat.

Determinatie is het makkelijkst op grond van de vorm van het blad op het oog. Opvallend is de bast van de gewone Esdoorn: deze heeft vaak identiek aan de plataan stukjes bast eraf, zodat je lichte vlekken zien waar de schors een stukje weg is. Dit is niet bij alle gewone esdoorns zo en jonge esdoorns zijn vaak heel glad van bast. De noorse esdoorn heeft dit niet, maar heeft een heel fijn gegroefde bast: je moet dichtbij om te zien dat hij groeven heeft.
In de Europese bergen vind je nog een soort: Italiaanse esdoorn. Als gewone esdoorn maar dan met bruine knoppen en iets ander blad.
In de winter houd je Noorse en Gewone esdoorn makkelijk uit elkaar doordat de gewone mooie groene knoppen heeft, en de noorse rode knoppen. Esdoorns herken je in de winter makkelijk doordat de trosjes steeltjes waar de vleugel-vruchtjes opzitten meestal blijven zitten.

In lanen en wijkgroen vind je veel meer soorten esdoorns. Er is een grote range varieteiten van de Gewone en de Noorse esdoorn met allerlei kleur vormen: gelig, rodig enzovoorts. Van de Noorse esdoorn is de rode vorm erg populair, dis die zie je best veel. Ook veel gebruikt als laanboom wordt de Witte of Zilveresdoorn: een forse VS soort met een mooi diep ingesneden blad dat zilverachtig is op de achterkant (rode knoppen trouwens). Esdoorns hebben vaak mooie kleuren in de herfst: met name de Noorse esdoorn kan schitterend verkleuren, maar ook de Veldesdoorn wordt mooi geel. De mooiste esdoorn is wel de Colchische met schitterende gouden bladeren in de herfst (in een goed jaar). Verder zie je ook wel de Rode esdoorn (met groene bladeren trouwens), en de Taartaarse esdoorn, die vaak een struik blijft trouwens. Maar bij alle soorten is vooral de bladvorm de manier van herkennen.

In tuinen kun je ook de sier-esdoorns vinden. Populair in kleine tuinen zijn de Japanse esdoorns, die soms zelfs maar een kleine struik zijn: maar prachtige bladeren. Minder zie je de prachtige Slangenbast-esdoorns, te herkennen aan bladeren met drie lobben.

Bladeren soorten uit deze familie / groep bomen :


Bomen op naam brengen Simpel! Kijk naar foto's en vergelijk.

If there are no tweets, your browser blocks something